This is an HTML version of an attachment to the Official Information request 'Missing or damaged black fencing relating to Christchurch Northern Corridor (CNC)'.


 
 
 
 
 
 
 
 
 
 
 
 
 
 
 
 
 
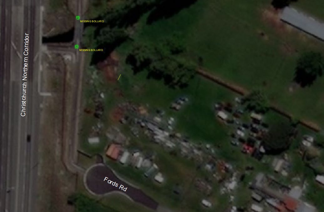
  Note: Due to tree interference – measures may be in accurate 
in this section. Also difficult to find original alignment of fence 
 
 
 
 
 
 

 




 
 
 
 
 
 
 
Note: Difficult to find original alignment of fence so 
 
measures may be inaccurate 
 
 
 
 
 
 
 
 

 



 
 
 
 
 
 
 
 
 
 
 
 
 
 
 
 
 
 
 
 
 
 
 
 
 
 
 
 
 
 
 

 







 
 
 
 
 
 

 





 
 
 
 
 
 
 
 

 



 
 
 
 
 
 
 
 
 
 
 
 
 
 
 
 
 
 
 
 
 
 
 
 
 
 
 
 
 
 
 
 

 




 
 
 
 
 
 
 
 
 
 
 
 
 
 
 
 
 
 
 
 
 
 
 
 
 
 
 
 
 
 
 
 

 




 
 
 
 
 
 
 
 
 
 
 
 
 
 
 
 
 
 
 
 
 
 
 
 
 
 
 
 
 
 
 
 

 


 
 
 
 

 




 
 
 
 
 
 
 
 
 
 
 
 
 
 
 
 
 
 
 
 
 
 
 
 
 
 
 
 
 
 
 
 
10 
 



 
 
 
 
 
 
 
 
 
 
 
 
 
 
 
 
 
 
 
 
 
 
 
 
 Note: Unable to determine extent, potentially more missing 
 
 
 
 
 
 
 
11 
 



 
 
 
 
 
 
 
 
 
 
 
 
 
 
12 
 




 
 
 
 
 
 
 
 
 
 
 
 
 
 
 
 
 
 
13