Download original attachment
(PDF file)
This is an HTML version of an attachment to the Official Information request '
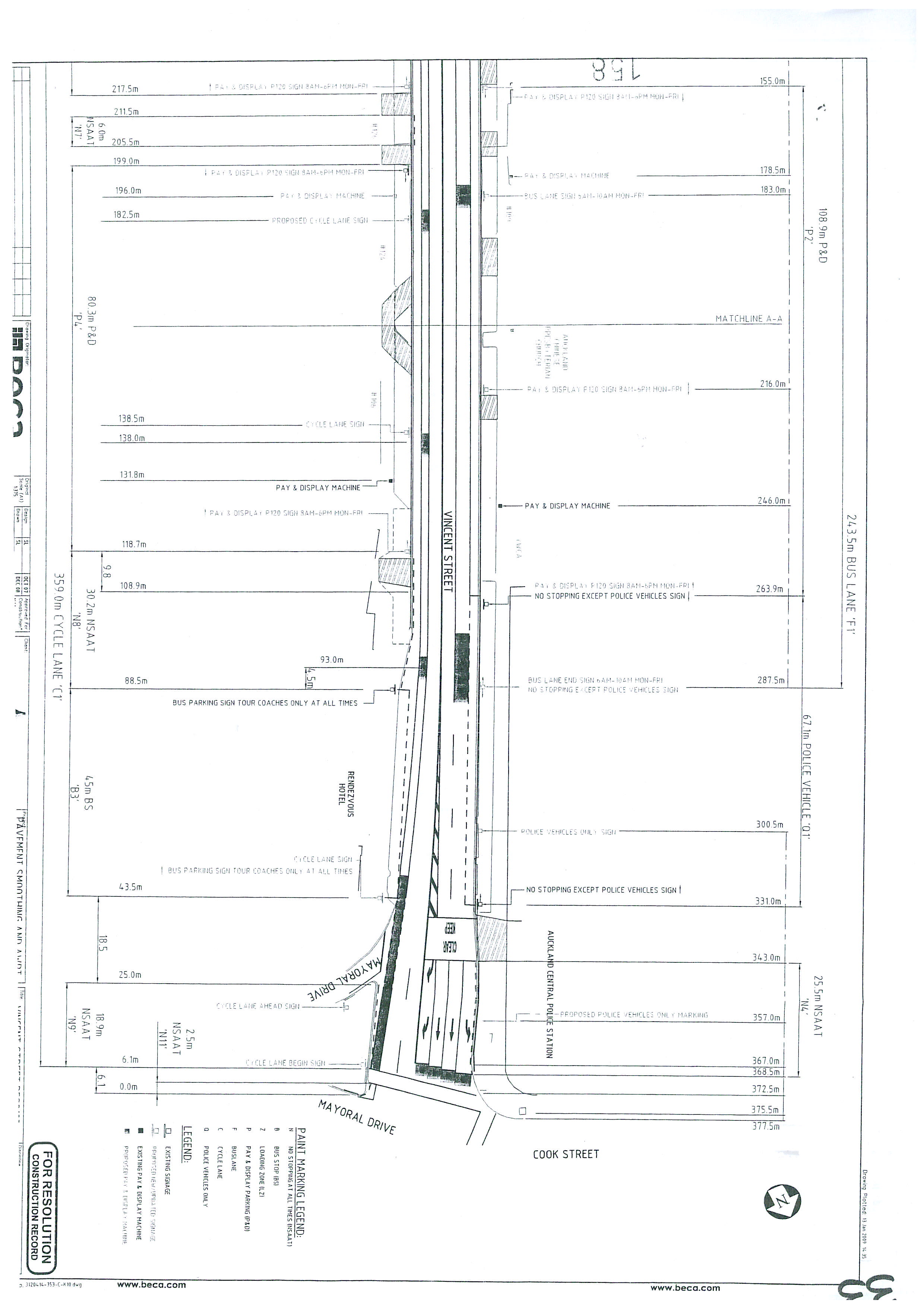
Designated Bus lane Vincent Street Auckland City
'.